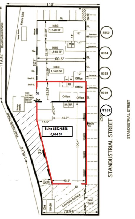
Building Area 5,068 sq. ft.
Yard Area 3,100 sq. ft.
Truck Access 10’x12’ grade level door
Ceiling Height 14 feet to 16 feet
Eleven (9) Parking Spaces
Electrical Power 200 amp- 120 volt 3 phase panel and a 200 Amp – 120 volt panel
Lease Rate:
$6,842.00 per Month + electric, water/sewer and trash


